čeleď bukovité, Fagaceae
Původ: JV Evropa, vzácně na jihu Moravy, S Turecko
Biotop v původním areálu: suché a slunné svahy, opadavé lesy
Habitus: Strom dorůstající do výšky 40 m. Borka je šedo-hnědá, větve přímé a štíhlé.
List: Krátce řapíkaté, peřenodílné listy mohou být až 25 cm dlouhé. Vyrůstají nahloučené na koncích větví. Jejich čepel je hluboce laločnatá se srdčitě ouškatou bází. Svrchní strana je tmavě zelená a lesklá, spodní strana je zeleno-šedá a pokrytá chlupy.
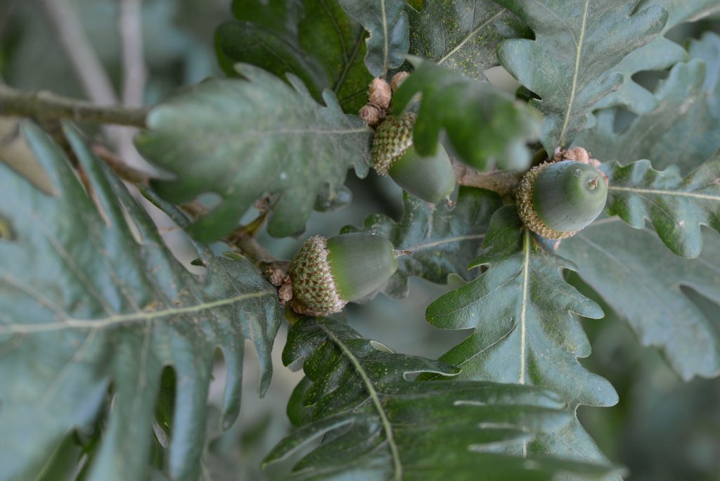
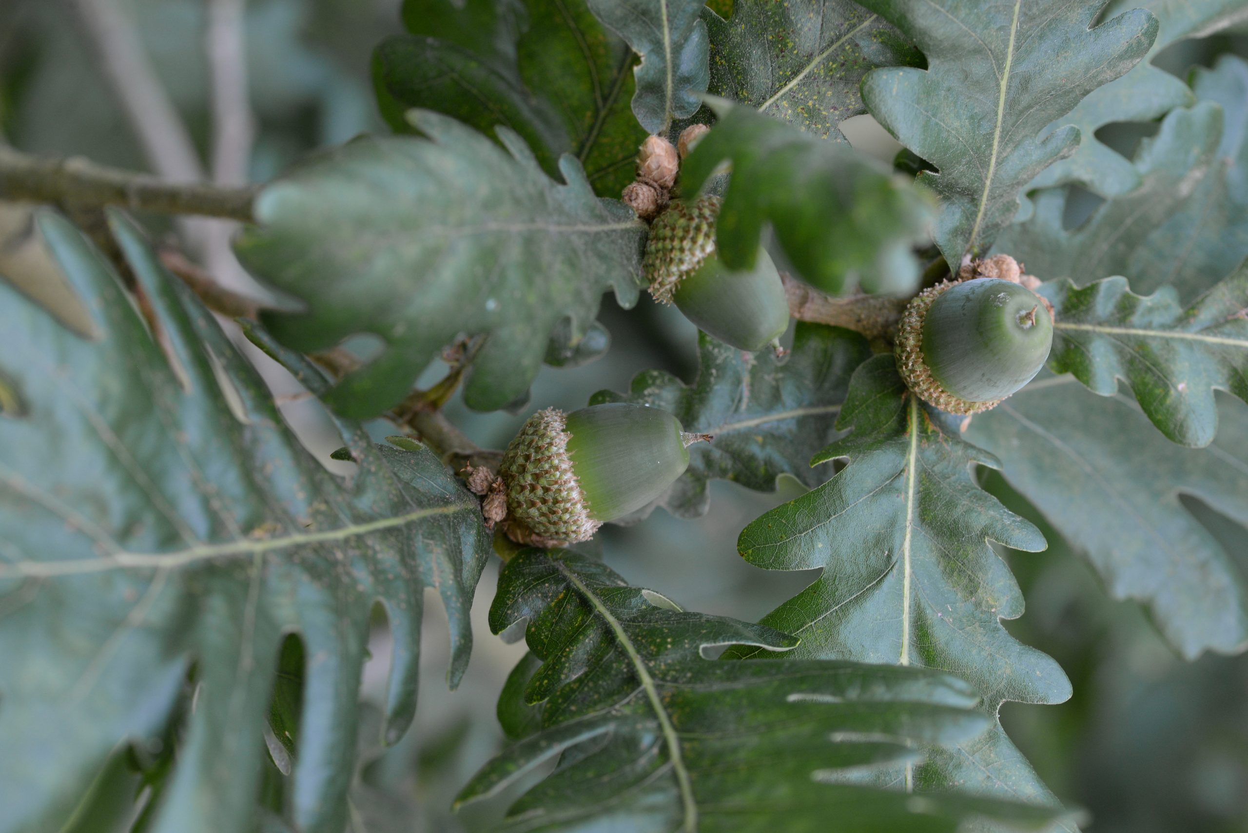
Květ, plod: Kvete v dubnu až květnu. Samčími květy jsou až 7 cm dlouhé zeleno-žluté jehnědy. Samičí květy jsou nenápadné, vyrůstají v shlucích. Plody (žaludy) jsou nažky v polokulovité pýřité číšce, které vyrůstají po 2–6 přisedle nebo krátce stopkatě z paždí listů.
Zajímavost: V češtině je znám pod mnoha jmény – dub uherský, dub balkánský, prodává se i pod názvem dub maďarský. Teplomilný dub roste v tzv. submediteránních lesích jižní Evropy. Nedávno byl jeho vzácný výskyt potvrzen i na jižní Moravě.

























